Sáng 14/4, một trong những cơn bão mạnh nhất từ đầu năm 2026 siêu bão Sinlaku đang hoạt động dữ dội trên khu vực tây bắc Thái Bình Dương và tiến gần quần đảo Bắc Mariana với cường độ rất mạnh. Theo các cơ quan khí tượng quốc tế, sức gió cực đại vùng gần tâm bão vẫn duy trì khoảng 210km/h, tương đương cấp 17, giật trên cấp này.

Thông tin từ Cơ quan Khí tượng Nhật Bản cho biết vào khoảng 6 giờ sáng 14/4, tâm bão đang ở vị trí cách đảo Saipan khoảng 160km về phía đông nam. Đây là một trong những khu vực thuộc Quần đảo Bắc Mariana trên Thái Bình Dương. Với cấu trúc hoàn chỉnh và sức gió cực mạnh, cơn bão đang tạo ra vùng ảnh hưởng rộng lớn trên khu vực biển xung quanh.
Quảng Cáo
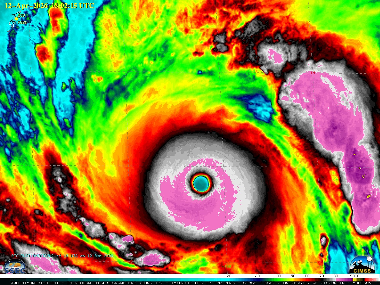
Theo các số liệu quan trắc, áp suất trung tâm của siêu bão hiện ở mức rất thấp, khoảng 905 hPa – dấu hiệu cho thấy đây là một hệ thống bão cực kỳ mạnh. Vùng gió mạnh từ cấp 7 trở lên lan rộng trong phạm vi 500–600km tính từ tâm bão, trong khi vùng gió từ cấp 10 trở lên cũng trải dài khoảng 165km. Ảnh vệ tinh ghi nhận mắt bão rõ ràng, tròn đều, cùng hệ thống mây dày đặc và đối xứng bao phủ khu vực rộng lớn, cho thấy cấu trúc bão đang ở trạng thái phát triển ổn định.
Quảng Cáo
Dự báo trong vòng 24 giờ tới, siêu bão sẽ tiếp tục di chuyển theo hướng tây bắc với tốc độ khoảng 15km/h và có khả năng quét qua khu vực quần đảo Bắc Mariana. Hai đảo được dự báo chịu ảnh hưởng trực tiếp nhiều nhất là Saipan và Tinian. Trong quá trình di chuyển, cường độ của bão có thể suy yếu dần nhưng vẫn duy trì sức gió rất mạnh.
Theo dự báo mới nhất, đến khoảng 6 giờ sáng 15/4, tâm bão sẽ nằm trên vùng biển phía đông bắc của quần đảo Bắc Mariana. Lúc này sức gió cực đại vùng gần tâm bão có thể giảm xuống khoảng 185km/h, tương đương đầu cấp 16. Dù vậy, đây vẫn là mức cường độ rất mạnh, tiềm ẩn nguy cơ gây thiệt hại nghiêm trọng nếu đi qua khu vực có dân cư.

Các chuyên gia khí tượng cho biết hiện siêu bão Sinlaku đang cách khu vực Biển Đông khoảng 3.000km. Với hướng di chuyển hiện tại, Trung tâm Dự báo Khí tượng Thủy văn Quốc gia nhận định cơn bão này không có khả năng đi vào Biển Đông và cũng không gây ảnh hưởng trực tiếp đến đất liền Việt Nam.
ADS
Sinlaku được ghi nhận là cơn bão đầu tiên trong năm 2026 đạt cấp siêu bão trên khu vực tây bắc Thái Bình Dương. Đáng chú ý, đây cũng là lần hiếm hoi xuất hiện siêu bão trong tháng 4. Kể từ năm 1977 đến nay, khu vực này mới chỉ ghi nhận ba trường hợp siêu bão hình thành trong tháng này, trong đó có cơn bão Surigae vào năm 2021.
Tính từ đầu năm đến nay, Sinlaku cũng được đánh giá là cơn bão mạnh nhất trên toàn cầu khi xét theo áp suất trung tâm. Với mức áp suất 905 hPa, cơn bão này thậm chí vượt qua cơn bão Maila từng hoạt động tại khu vực Australia với áp suất khoảng 924 hPa.
ADS
Theo nhận định của các chuyên gia thời tiết, với mức áp suất cực thấp cùng cấu trúc bão hoàn chỉnh, Sinlaku được xếp vào nhóm siêu bão có sức tàn phá rất lớn. Nếu một khu vực đất liền nằm trực tiếp trên đường đi của cơn bão, nguy cơ đối mặt với gió mạnh, mưa lớn và sóng biển dữ dội là rất cao, có thể gây ra những hậu quả nghiêm trọng đối với cơ sở hạ tầng và đời sống người dân.
Thanh Chúc ( SKV 9:52 Ngày 14/4/2026 )
